Grand’Anse
-
Haïti
Grand’Anse : au moins neuf cent jeunes pour rejoindre la 37e promotion de la PNH
(PouSiOuPaTKonnen) – La Police nationale d’Haïti (PNH), le dimanche 15 mars 2026, a organisé les épreuves intellectuelles pour les postulants…
Lire la suite » -
Haïti
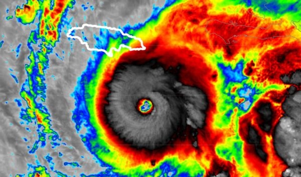
L’ouragan Melissa s’est encore renforcé et fait des morts en Haïti
(PouSiOuPaTKonnen) – Melissa continue sa progression. En moins de 24 heures, cette tempête tropicale s’est transformée en ouragan de catégorie…
Lire la suite » -
Haïti
Haïti : après l’arrestation d’un faux médecin, un faux ingénieur arrêté à son tour
(PouSiOuPaTKonnen) – D’après ce qu’a fait savoir Medianou le jeudi 2 octobre 2025, la police au Cap-Haïtien a arrêté un…
Lire la suite » -
Haïti
Haïti : un faux médecin arrêté par la police
(PouSiOuPaTKonnen) – La police dans la Grand’Anse a arrêté un jeune homme qui se faisait passer pour un médecin, a…
Lire la suite » -
Haïti
Haïti menacée par une onde tropicale provenant de la République dominicaine
(PouSiOuPaTKonnen) – La direction de la Protection civile a annoncé, ce vendredi 1er août 2025, qu’une onde tropicale en provenance…
Lire la suite » -
Haïti
Haïti : onde tropicale, fortes pluies et rafales de vents signalées
(PouSiOuPaTKonnen) – L’Unité Hydrométéorologie (UHM) a informé, ce lundi 28 juillet 2025, qu’« une onde tropicale peu active » a…
Lire la suite » -
En bref
Grand’Anse : terrible accident de la route à Jérémie, une dizaine de victimes
(PouSiOuPaTKonnen) – Un terrible accident de la route a eu lieu à Jérémie, dans le département de la Grand’Anse, dans…
Lire la suite » -
Haïti
Panique à Anse-d’Ainault : morts et blessé enregistrés, le sous-commissariat incendié
(PouSiOuPaTKonnen) – Une situation de panique a eu lieu à Anse-d’Ainault, dans le département de la Grand’Anse, dans l’après-midi de…
Lire la suite » -
En bref
Haïti : les dernières nouvelles d’Andris Riché, ancien sénateur de la Grand’Anse
(PouSiOuPaTKonnen) – Des rumeurs circulant sur les réseaux sociaux ce dimanche 23 mars 2025 font état de la mort d’Andris…
Lire la suite » -
Dernières nouvelles
Haïti : deux étudiants meurent tragiquement dans un accident de la route à Jérémie
(PouSiOuPaTKonnen) – Un drame incommensurable a frappé la ville de Jérémie, dans le département de la Grand’Anse, avec la mort…
Lire la suite » -
Dernières nouvelles
Alerte inondations sur plusieurs départements d’Haïti
(PouSiOuPaTKonnen) – D’après ce qu’a rapporté la Protection civile ce lundi 23 décembre 2024, les pluies qui se sont abattues…
Lire la suite » -
Dernières nouvelles
Haïti : alerte inondations
(PouSiOuPaTKonnen) – L’Unité Hydro météorologique (UHM) a annoncé que des pluies sont prévues sur divers départements d’Haïti les mercredi 4,…
Lire la suite » -
Dernières nouvelles
Haïti : après Jérémie, la ville du Cap-Haïtien inondée
(PouSiOuPaTKonnen) – Une deuxième ville est sous les eaux en Haïti. Après Jérémie, c’est le tour de Cap-Haïtien qui est…
Lire la suite » -
Dernières nouvelles
Haïti : inondations à Jérémie, des morts recensés, dont des enfants
(PouSiOuPaTKonnen) – Des pluies diluviennes se sont abattues sur le département de la Grand’Anse durant les précédentes 72 heures. Cela…
Lire la suite » -
Dernières nouvelles
Haïti : inondations dans la ville des Cayes
(PouSiOuPaTKonnen) – La Protection civile a annoncé, mardi 12 novembre, que plusieurs départements sont menacés par de fortes pluies et…
Lire la suite » -
Dernières nouvelles
Grand’Anse : des bandits tués, au moins 113 individus arrêtés, le bilan de la PNH
(PouSiOuPaTKonnen) – La Police nationale d’Haïti (PNH) dans le département de la Grand’Anse a présenté, ce lundi 14 octobre 2024,…
Lire la suite » -
Dernières nouvelles
Deuil au sein de l’Église catholique d’Haïti
(PouSiOuPaTKonnen) – L’Église catholique d’Haïti est en deuil avec l’annonce du décès, très tôt ce vendredi 11 octobre 2024, de…
Lire la suite » -
Dernières nouvelles
Grand’Anse : « Ti Kenken », chef du gang de Désormeaux, tué par la police
(PouSiOuPaTKonnen) – Des agents de la Police nationale d’Haïti (PNH) ont tué « Ti Kenken », le chef du gang…
Lire la suite » -
Dernières nouvelles
Grand’Anse : des enfants parmi des morts et des blessés dans un terrible accident de la route
(PouSiOuPaTKonnen) – Un terrible accident de la circulation a eu lieu ce lundi 7 octobre 2024 dans la commune de…
Lire la suite » -
Dernières nouvelles
Le MENFP publie les résultats des examens du bac 2024 pour trois nouveaux départements
(PouSiOuPaTKonnen) – Dans un communiqué de presse paru ce samedi 28 septembre, le ministère de l’Éducation nationale et de la…
Lire la suite » -
Dernières nouvelles
Jérémie : le gardien d’une école saisit l’arme d’un policier pour commettre un crime
(PouSiOuPaTKonnen) – Un évènement surprenant s’est produit à Jérémie le samedi 7 septembre dernier. L’entrepreneur Wilfrind Depeine a été tué…
Lire la suite » -
Société
À 103 ans, l’Haïtien Maurice Léonce épouse une dame de 43 ans
(PouSiOuPaTKonnen) – Maurice Léonce a 103 ans. Il est poète et vit à Jérémie, dans le département de la Grand’Anse,…
Lire la suite » -
Dernières nouvelles
Grand’Anse : craignant le « Bwa kale », deux chefs de gang ont décidé de remettre leurs armes
(PouSiOuPaTKonnen) – Deux chefs de gang ont décidé de remettre leurs armes à Deshormeau, à Dame-Marie, dans le département de…
Lire la suite » -
Dernières nouvelles
Grand’Anse – Inceste : un huissier accusé d’avoir violé sa propre fille de 14 ans
(PouSiOuPaTKonnen) – Un nouveau scandale de crime sexuel plane sur le département de la Grand’Anse. À Anse-d’Ainault, un père de…
Lire la suite »