ouragan
-
Haïti
Coopération Sud-Sud : la Colombie vole au secours d’Haïti
(PouSiOuPaTKonnen) – La Colombie a envoyé de l’aide à Haïti. C’est ce qu’a annoncé Leslie Voltaire ce lundi 10 novembre…
Lire la suite » -
Haïti
8,5 millions de dollars : les États-Unis tendent la main à Haïti après le passage de Melissa
(PouSiOuPaTKonnen) – L’ouragan Melissa a fait des ravages en Haïti et a quitté des morts après son passage, notamment à…
Lire la suite » -
Dernières nouvelles
Le Venezuela au chevet du Cuba et de la Jamaïque après le passage de Melissa
(PouSiOuPaTKonnen) – L’ouragan Melissa a fait pas mal de dégât dans les Caraïbes. Les États-Unis ont annoncé une aide aux…
Lire la suite » -
Haïti
Enfin, une bonne nouvelle pour Haïti
(PouSiOuPaTKonnen) – C’est la nouvelle du jour. Ce jeudi 30 octobre 2025, la Protection civile a annoncé qu’Haïti n’est plus…
Lire la suite » -
Saison cyclonique
États-Unis : des équipes de secours envoyées dans les pays caribéens touchés par Melissa
(PouSiOuPaTKonnen) – Marco Rubio est le secrétaire d’État américain. Sur les réseaux sociaux, il a annoncé, mercredi 29 octobre, que…
Lire la suite » -
Haïti
Ouragan Melissa – Haïti : l’Ouest et quatre autres départements en alerte rouge
(PouSiOuPaTKonnen) – L’ouragan Melissa continue de menacer Haïti. Après la Grand’Anse et le Sud, ce mardi 28 octobre 2025, de…
Lire la suite » -
Haïti
Ouragan Melissa : toutes les activités suspendues en Haïti en raison des risques
(PouSiOuPaTKonnen) – L’ouragan Melissa devient de plus en plus une menace pour Haïti. Selon un communiqué de presse de la…
Lire la suite » -
Haïti
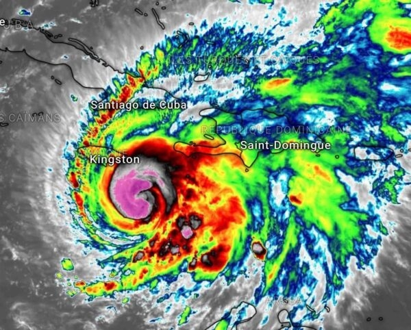
L’ouragan Melissa s’est encore renforcé et fait des morts en Haïti
(PouSiOuPaTKonnen) – Melissa continue sa progression. En moins de 24 heures, cette tempête tropicale s’est transformée en ouragan de catégorie…
Lire la suite » -
Saison cyclonique
L’ouragan Melissa progresse et s’est encore renforcée
(PouSiOuPaTKonnen) – Melissa n’en démord pas. Quelques heures après sa transformation en ouragan, il a quitté la catégorie 1 pour…
Lire la suite » -
Alerte
Haïti : la tempête tropicale Melissa s’est renforcée, plusieurs départements en alerte rouge
(PouSiOuPaTKonnen) – La tempête tropicale Melissa ne s’affaiblit pas. Au contraire, elle se renforce et selon le Centre national des…
Lire la suite » -
Haïti
Haïti : la 30e onde tropicale de passage, la tempête tropicale Jerry se renforce, voici tout ce qu’il faut retenir
(PouSiOuPaTKonnen) – La Protection civile a annoncé, jeudi 9 octobre 2025, que la 30e onde tropicale est de passage sur…
Lire la suite » -
Saison cyclonique
De la pluie sur plusieurs départements d’Haïti, voici les dernières nouvelles de l’ouragan Gabrielle
(PouSiOuPaTKonnen) – Les agences météorologiques d’Haïti ont annoncé, lundi 22 septembre 2025, que plusieurs départements du pays sont menacés par…
Lire la suite » -
Haïti
Ouragan Erin – Avis officiel : les activités de cabotage interdites en Haïti
(PouSiOuPaTKonnen) – L’ouragan Erin, rétrogradé à la catégorie 3, ne représente pas une menace directe pour Haïti. Cependant, son passage…
Lire la suite » -
Saison cyclonique
Haïti : l’ouragan Erin rétrograde, les autorités font des recommandations
(PouSiOuPaTKonnen) – L’ouragan Erin est passé de la catégorie 5 à 3 dans la matinée de ce dimanche 17 août…
Lire la suite » -
Saison cyclonique
Haïti : l’ouragan Erin atteint sa catégorie « catastrophique », la protection civile donne des consignes
(PouSiOuPaTKonnen) – La tempête tropicale Erin s’est transformée en ouragan vendredi 15 août et samedi, elle a atteint la catégorie…
Lire la suite » -
Saison cyclonique
La République dominicaine en alerte en raison de l’impact possible de l’ouragan Erin
(PouSiOuPaTKonnen) – Erin s’est transformée en ouragan. Pour se préparer afin de faire face à l’impact possible du phénomène atmosphérique,…
Lire la suite » -
Saison cyclonique
La tempête tropicale Erin transformée en ouragan, fortes pluies et ondes de tempête attendues
(PouSiOuPaTKonnen) – La tempête tropicale Erin progresse et s’est transformée en Ouragan ce vendredi 15 août 2025. C’est ce qu’a…
Lire la suite » -
Saison cyclonique
La tempête tropicale Erin se forme, progresse et menace de devenir un ouragan
(PouSiOuPaTKonnen) – La tempête tropicale Erin s’est formée le lundi 11 août 2025 dans l’Atlantique central. D’ici la fin de…
Lire la suite » -
Saison cyclonique
L’ouragan Erick fait des morts durant son passage
(PouSiOuPaTKonnen) – L’ouragan Erick a touché le sud du Mexique et s’est dissipé jeudi soir. Ce, après avoir causé des…
Lire la suite » -
Saison cyclonique
L’ouragan Erick très dangereux avec des vents destructeurs et des crues mortelles
(PouSiOuPaTKonnen) – Erick est le nom de cet ouragan qui menace la région. Durant la journée de ce mercredi 18…
Lire la suite » -
Dernières nouvelles
L’onde tropicale OSCAR se rapproche, de la pluie sur Haïti
(PouSiOuPaTKonnen) – OSCAR est le nom de cette onde tropicale qui se fait sentir notamment à Bahamas et aux îles…
Lire la suite » -
Société
Haïti – Tourisme : un bateau de croisière de retour à Labadie
(PouSiOuPaTKonnen) – Un bateau de croisière de « Royal Caribbean international » s’est accosté à Labadie ce jeudi 10 octobre…
Lire la suite » -
Dernières nouvelles
Ouragan Milton : déjà des morts dans la Floride, toujours en grand danger
(PouSiOuPaTKonnen) – L’ouragan Milton a touché terre dans la soirée du mercredi 9 octobre dans la Floride, aux États-Unis. Moins…
Lire la suite » -
Dernières nouvelles
Floride – Ouragan Milton : plus de 5 millions de personnes en danger
(PouSiOuPaTKonnen) – L’ouragan Milton devrait arriver dans la soirée de ce mercredi 9 octobre sur la Floride. Qualifié d’extrêmement dangereux,…
Lire la suite »